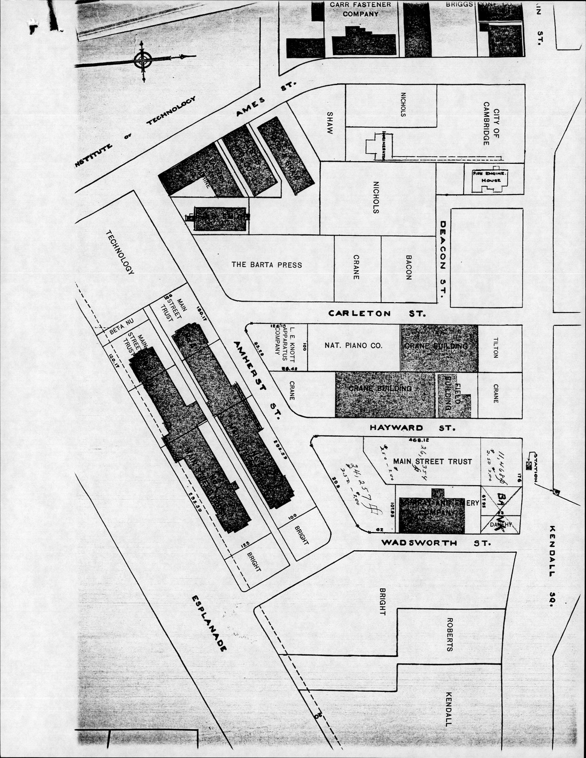
Amherst St - Supplemental Material
- Neighborhood :
 - Area 2/MIT
 - Document Type :
 - Supplemental Material
 - Research District :
 - Cambridgeport
 - Citation :
 - Cambridge Historical Commission, Digital Architectural Survey and History.
 - Pages :
 - 2
 - Rights :
 - Rights status not evaluated.
 - Place Item :
 - Amherst St
 
- Folder:
 - Amherst St
 
                                                    
